Ver Tour Virtual
- $950 MXN por m² En Venta
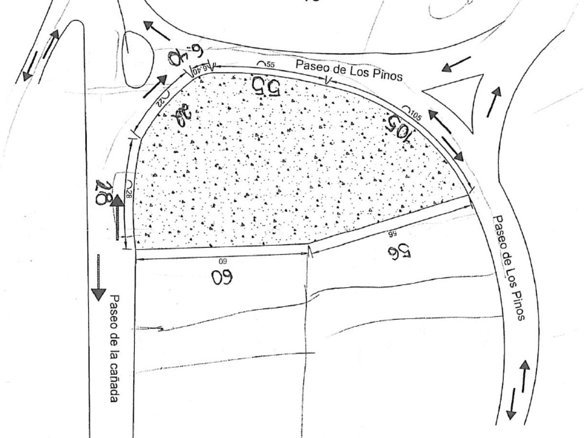
- 5,054 m² de terreno
Detalles
- Tipo: Terreno
- ID: EB-UY6514
- Fondo del terreno: 60 m
- Frente del terreno: 116 m
Descripción
El terreno se encuentra a 4.5 km de la frontera y a 11.5 km de centro de tapalpa
MEDIDAS
-Frente 116 m x Fondo 60 m
-Superficie Total: 5054.21 m2
PRECIO
- $5,054,210 = $1,000/m2
Acepta créditos, con pago de enganche desde 10%
CARACTERÍSTICAS
-Propiedad privada
-Libre de gravamen
- A 300 metros aprox de la carretera
-Luz sobre la carretera
¡Para mas informacion, contactanos!
*Los precios y disponibilidad están sujetos a cambios sin previo aviso.*
*Los precios aquí publicados no incluyen impuestos, costos generados por contratación de créditos hipotecarios, ni tampoco gastos, derechos e impuestos notariales.*
Ubicación












